Bursalılar dikkat! En işlek yol trafiğe kapatılıyor...

Bursa Bölge, 2026.01.03 11:25

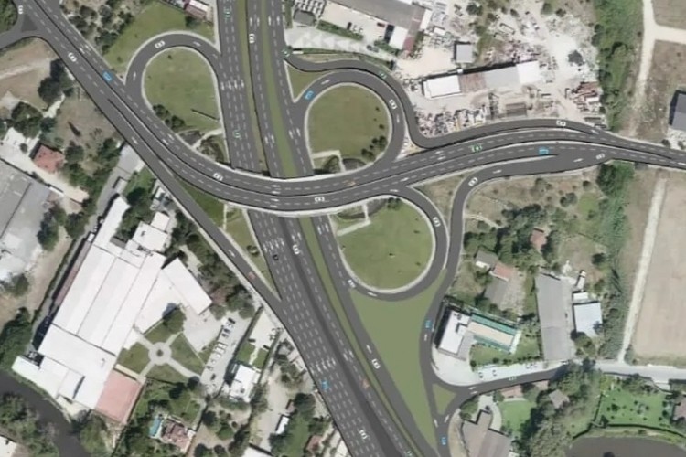
Bursa'da Nilüfer, Osmangazi ve Mudanya ilçelerini birbirine bağlayarak bölgedeki trafik yoğunluğunu önemli ölçüde azaltması hedeflenen Geçit Köprüsü Projesi'nde çalışmalar hız kesmeden devam ediyor. Bu kapsamda Bursa Büyükşehir Belediyesi, Nilüferköy ile Geçit mahalleleri arasındaki güzergahta trafik düzenlemesi yapılacağını duyurdu.

Bursa'da Nilüfer, Osmangazi ve Mudanya ilçelerini birbirine bağlayarak bölgedeki trafik yoğunluğunu önemli ölçüde azaltması hedeflenen Geçit Köprüsü Projesi'nde çalışmalar hız kesmeden devam ediyor. Bu kapsamda, Mudanya Sanayi Yolu Caddesi üzerinde, Nilüferköy ile Geçit mahalleleri arasındaki güzergahta inşa edilen Geçit Köprüsü'nde 20 adet öngerme kirişinin montajı gerçekleştirilecek.

Montaj çalışmalarına 05 Ocak 2026 Pazartesi gecesi başlanacak olup, çalışmaların 5 gece sürmesi planlanmaktadır. Çalışmalar süresince, 00.00 - 06.00 saatleri arasında Mudanya-şehir merkezi istikametindeki yol trafiğe kapatılacaktır.


Üç ilçeyi birbirine bağlayarak bölgedeki ulaşımı daha güvenli ve akıcı hale getirecek olan proje tamamlandığında, bölgedeki trafik yükünün önemli ölçüde azalması hedeflenmektedir. Sürücülerin, belirtilen saatlerde alternatif güzergâhları kullanmaları önemle rica olunur.

Bursa Bölge, 2026.01.03 11:25

Bursa'da Uluabat Gölü'nün su seviyesi yükseldi: Mahalle...

Bursa'da bugün hava nasıl olacak? Meteoroloji güncel ta...

Fransız Senatosu, 15 yaşından küçüklere kısmen sosyal m...

Bursa'da 20 yıllık inşaat şirketi konkordato ilan etti!

Bursa'da iş yerine sopalı saldırı! 10 kişilik grup imal...

Bursa'daki ofisleri kapatıldı! Dev lojistik şirketi art...

Bursa'da JASAT'tan nokta operasyon! Hırsızlık zinciri k...

Mart ayında Bursa bu manzaraya şaştı!

Bursa Cumhuriyet Başsavcılığından Mustafa Bozbey'le ilg...

Bursa'da korkutan anlar! Dere taştı, araç suya gömüldü...

Tiktok'a kapıldı, ailesinden koptu: Annenin feryadı yür...

Bursa'da ekmeğe zam geldi! İşte yeni fiyatı

Bursa'da 7 asırlık miras sürüyor! 11 bin kuzu bekleniyor

Can Holding soruşturmasında flaş gelişme! Uzun süredir ...

Mustafa Bozbey'in gözaltı öncesi son mesajı ortaya çıktı!

Türkiye 24 yıl sonra Dünya Kupası'nda!

Bursa'da sağanak bastırdı, vatandaşlar AVM'lere sığındı

Bursa'da minibüs alev aldı!

Kız yurdunun karşısında skandal görüntü: İzleyen herkes...

Bahçeli'den hükümete acil çağrı: "Yasal düzenlemeler iç...

Küresel deniz ticareti dar boğazda! Hürmüz'den geçişler...

24 yıllık hasret bitti! A Milli Takımın Dünya Kupası'nd...

Çingene Kızı ekrana geliyor! Gülper Özdemir başrolde!

Bursa'da ulaşıma hava engeli! Seferler iptal edildi

Bursa'da 57 kişi gözaltına alındı, 7 kişi hastanelik ol...

Bursa'da magandalar yol vermek istemeyen sürücüyü darbe...

Sürücüler dikkat! Bakanlık uyardı: 'Erteleme yok'

Bursa'da 'hava şakası' ortalığı karıştırdı!

Bursa'da kiracıya şok suçlama! "Evimi eskortlara kirala...

Ev sahibi olmak kolaylaşıyor mu? Dikkat çeken analiz...

Skandal görüntü! Zorla kucağına alıp odaya götürmeye ça...

Yemek siparişlerinde yeni dönem: Bugün itibariyle başla...

Ünlü oyuncu Megan Fox, yatakta verdiği pozlarla sosyal ...

Bursa'ya çamur yağdı! Oto yıkamacılarda uzun kuyruklar ...

Türkiye'nin ünlü AVM'si +18 oldu!

Anne-oğula apartman içerisinde kanlı infaz!

Bursa'da 91 yıl önce geliştirildi, ünü tüm Türkiye'ye y...

Gece görüntülendiler! Bursalılar dikkat, uyandılar...

Bursa yolunun bir kısmı trafiğe kapandı! Ortalık göle d...

Polisten kaçan ehliyetsiz motosikletliye 336 bin TL ceza

Bursa'da 18 yaşındaki gençten haber yok!

Ünlü oyuncu Kıvanç Kasabalı Keles Gököz Köyü'nü ziyare...

Güzide Duran-Adnan Aksoy boşandı: Avukatlar birbirine ...

'Vakit gelmiştir' diye uyardı! Çarpıcı yorum geldi

Ankara'daki kazada kahreden detay! Ölenlerin ikisi sporcu

Kuzey Çevre Yolu'nda korkunç kaza! Çok sayıda can kaybı...

Bu kadarı da fazla artık! Tarihi gece öncesi büyük skandal

Bursa'da işçi metrelerce yükseklikten düştü! Durumu ağır

Sosyal medya bunu konuşuyor: Bursa'da günlerdir yağan y...

Yıllar sonra ekranlara dönüyor! Var Mısın Yok Musun'da ...

Vatandaşa yarış atı yediren firmayla ilgili yeni skandal!

Bursa'da şok baskın! Evdeki gizli bölmede ele geçirildi...

Otoyolda can pazarı: Polisleri taşıyan araç hurdaya dön...

Bakan Kacır duyurdu: Bursa'ya faizsiz destek müjdesi!

Bursa'da birçok mahallede su kesintisi!

MSB'den NATO karargahı açıklaması! Tamamı Türk personel...

Bakan Çiftçi duyurdu! Toplanan sahipsiz sokak hayvanlar...

Gemlik - Orhangazi yolunda yağışlar sonrası kapanan böl...

Bursa'da Dünya Kupası coşkusu sokaklara taştı!

Etimesgut Belediyesi'ne operasyon: Gözaltılar var!

Bursa'da kontrolden çıkan araç dereye uçtu! Şans eseri ...

Bursa'da Başkan Bozbey'e gözaltı: Bursa siyasetinden il...

Kurye siparişi önce yaladı: Sonra teslim etti!

20 milyarlık yasa dışı ağ çökertildi: Bursa da listede!

17 yaşındaki saldırgan dehşet saçtı! Pompalı tüfekle ev...

Korkutan deprem! Bursa da sallandı...

İstanbul'da 'Kaçırıldım' yalanıyla çalıştığı şirketten ...

Bursa sınırında 1 hafta ara ile gelen kahreden haberler!

Altın için çılgın tahmin: Haziranda bu rakamları görebilir

Akaryakıtta şok tablo! Yeni zam geldi, tarihi rekor kır...

Bursa'da suç makinesi kıskıvrak yakalandı! Saklandığı y...

Doğalgaz çalışması sırasında heyelan: Ölü ve yaralı var...

Bursa'da sağanak etkisi! Dereler taştı, ağaçlar devrild...

Bursa'da 25 milyonluk borca battı, malları icralık oldu...

Bir kurye skandalı daha! Bu kez asla unutamayacağı bir ...

Bursa'da tarımdan sanayiye güçlü atılım! 12 bin kişiye ...

Yüzbinlerce emeklinin maaşı artacak: İşte artıştan etki...

TikTok'ta tutuklanma ile sonuçlanan skandal yayından ye...

Bloomberg: Karneyle akaryakıt almaya hazırlanın!

Katar: İran'dan İHA'larla saldırı düzenlendi

İsrail'den Suriye topraklarına baskın! Sivillere ateş a...

Baba-oğula arazide infaz!

ABD ve İsrail, Orta Doğu'nun en yüksek köprüsünü vurdu

Bursa'da korkutan kaza! Çekici devrildi, üzerindeki kam...

Bursa'da korku dolu anlar! Metrelerce yüksekte itfaiye ...

Tabelalara yansıdı! Milyonlarca araç sahibine anahtar b...

Cep telefonu tarifelerine okkalı zam: İşte yeni ücretler

Yasak ilişki hastanede bitti! Oğlunu zapt edemeyen kadı...

5G teknolojisi hakkında yanlış bilinen maddeler

Bursa dahil 71 ilde zehir tacirlerine darbe! Çok sayıda...

Türkiye'de 5G dönemi resmen başladı! Cumhurbaşkanı Erdo...

Görüntüler Bursa'dan! Anayolda suya daldı

Bursa'da bariyerleri aşan kamyon yan yattı: 3 yaralı

Trump'ın sözleri fiyatları etkiledi! Altında yeni hareket

Bursa'da programlar kapsamında yollar trafiğe kapatılacak!

Okul müdüründen öğrencisine hayat kurtaran müdahale! O ...

İran, ABD'yi nasıl köşeye sıkıştırdı? İşte Tahran yönet...

İran'dan Türkiye'ye atılan füze sonrası NATO'dan açıkla...

LPG'ye tarihin en büyük zammı geliyor!

Tel Aviv'de sirenler susmadı! İsrailliler sığınaklara h...

Bursa Orhangazi'de 4 araç birbirine girdi! Ortalık sava...

Bursa'da evinden çıkamadı! AFAD ve itfaiye seferber oldu

Yunanistan'dan Türk turistlerle ilgili flaş karar!

Nilüfer Belediye Meclisi'nde 'Bozbey' Protestosu: Çoğu...

Kavgada bıçaklandı, hastanede silahla vuruldu!

Cumhurbaşkanı Erdoğan "işaretler görülüyor" deyip yeni ...

Kredi ve kart borcu olanlar dikkat: Yapılandırma için s...

Bursaspor Başkanı Enes Çelik'ten 'Bozbey' açıklaması!

Gece boyu yağdı, sabah taştı: Bursa'da alarm!

Orman yangınlarında acı tablo! Bursa ilk sırada yer ald...

MİT, firari casusu yakaladı!

Bursaspor'a PFDK'dan 3 ayrı ceza!

Otomotiv devi elektrikli araç üretimini durdurdu! Binle...

Mustafa Bozbey: "Çağrılsaydım kendim gider ifademi veri...

Bursaspor'da kombine yenilemenin ilk günü! Rakam dikkat...

Aile katliamı! Boşanma aşamasındaki eşini ve 3 yakınını...

Ahmed Şara'nın zor anları: İmdadına kadın sunucu yetişti

İsrail, Filistinli esirleri hedef alacak idam cezası ya...

Meclis'te sürpriz hamle: ÖTV muafiyeti listesi genişled...

Bursa'da gözaltı sonrası CHP'den açıklama!

Vefat eden oyuncu Ramazan Tetik'in bilinmeyen yaşam öy...

Mustafa Bozbey'den ilk açıklama geldi!

Film sahnelerini aratmayan olay! Boşanma aşamasındaki e...

Trump'tan İran'a yeni tehdit: "Havaya uçuracağız"

Bursa'da yüzlerce dönüm bahçe su altında kaldı!

Ölmüş hayvanları kesip piyasaya süren çete çökertildi! ...

TMSF'den dev karar: Bursa'da da mağazaları bulunan mobi...

Takla atıp olay yerinden kaçtı!

AYM'den tarihi TFF kararı! Sistem iptal edildi...

Altın yükselişe geçti: Fiyatlarda 1 haftanın zirvesi! İ...

Uzmanlardan Bursa'ya uyarı geldi! Akşam saatlerinde gir...

Bursa'da nefes kesen kovalamaca! Binlerce lira ceza kes...

Erdoğan'dan 33 gündür devam eden savaş için korkutan se...

Osmangazi Köprüsü'nde korku dolu anlar! Trafik resmen d...

Serhat şehrinde tartışma yaratan cenaze namazı!

Özgür Özel'den Bozbey'in gözaltına alınmasıyla ilgili i...

Bursa'da aşırı yağıştan dere taştı! Köprü ulaşıma kapat...

Bursa'da Çakırca deresi taştı! Tarlalar sular altında k...

Bursa'nın ilçesi tek yürek oldu! Yüzlerce bağış...

Yaş ve prim dolsa da emekli olamayabilirsiniz! Kritik 2...

Bursa'da lodos dehşeti! Çok sayıda tekne battı

Mısır'ın ardından Endonezya da açıkladı! Enerji krizine...

Bursa'da gece saatlerinde korkutan yangın! Yol trafiğe ...

Pakistan ve Çin'den savaş duyurusu! Tüm dünyaya ilan et...

Husumetlisini kasığından vurdu: "Babamın selamı var"

Sürüklenerek ağır hasar aldılar! Bursa'dan acil çağrı

Trump, İran'ı can damarından vurdu: Ele geçirmeye başladık

Gayrimenkul satışları mercek altında: İlan fiyatı ile s...

Bursa'da dumanı fark etti, canını kurtardı!

Futbol dünyası şokta! Yıldız futbolcu topu bırakıp sila...

1 Nisan'da 'Pembe Dolunay' gökyüzünde olacak!

Bursa'nın köklü markasını yasa boğan haber!

Savaşta bir ilk! İran dediğini yaptı

Bakanlık açıklama yaptı! İlaç raporu için bunu yapmanız...

Bursa'da metrelerce yüksekten düşen işçinin durumu kritik!

Bakan Işıkhan duyurdu: SGK geri ödeme listesine giren y...

İran, bir ülkeyi daha düşman listesine aldı: "ABD ve İs...

Bursa'nın ilçesinde dolu yağışı etkili oldu! Bir anda b...

Belediye çalışanı külçe külçe altın buldu! Sahibi çıkma...

Danla Bilic'in göğüslerinin yeni hali

Tarım Bakanlığı açıkladı: O ekmeklere yasak geliyor

Görüntüye tepki yağıyor! A Milli Takım'ın oteline böyle...

Kıbrıs'ı karıştıran olay! Rum tarafından KKTC vatandaşl...

Bursa'da bugün hava nasıl olacak? Meteoroloji güncel ta...

Zincir marketle ilgili vahim iddia! Müdürler, alt kadem...

Bursa Büyükşehir'den hayat kurtaran operasyon

Evde dehşet! Annesini dövdü, eşini öldürdü

2 gündür süren sağanak sonrası Bursa'da tarım arazileri...

Bursa'da kültür merkezine yeni kimlik! İsmi değişiyor...

Cumhurbaşkanı Erdoğan: "Finale kadar gideceğiz"

Bursa'da rahatsızlanarak gittiği hastanede hayatını kay...

Bursaspor'un efsane kalecisinin yeni takımı belli oldu!

APP plaka değişimi için son gün yoğunluğu! Süre bugün d...

Trafik kavgası pahalıya patladı! Tam 720 bin TL...

Bursa'da korkutan olay! İstinat duvarı yıkıldı, ağaçlar...

Bursa'da fay hattının kırılması sonucu ortaya çıktı! Ya...

Bursa Büyükşehir önünde hareketlilik! Erkan Aydın'dan B...

Bursa'da Balkan Bölge Parkı açılış için gün sayıyor

Aksaray'da film sahnelerini aratmayan kovalamaca kamerada

Bursa'da Başkan Bozbey'in gözaltı alınma anına ait görü...

Bursa semalarında renk cümbüşü! Yağmurun ardından gökku...

Beklenen haber geldi! Zamlı bedelli askerlik ücreti kab...

Uçakta skandal şaka! Bedeli ağır oldu...

BTK'dan yeni düzenleme! Dolandırıcı SMS'lerine son...

Bursa'da gıda şoku! Türkiye'nin en ünlü peynir markası ...

Tüm gözler bu maçta: Türkiye için kader anı! 24 yıllık ...

Annesinin sevgilisini bıçaklayarak öldürdü!

Romanya, Lucescu ile yolları ayırdı

Türkiye'nin dengeleri değiştirecek hamlesi İsrail'i pan...

Bursa'da feci olay! 9 aylık bebek kaynar suyla yandı...

Bursa'ya bahar geldi! Kartpostallık manzaralar oluştu...

Bursa'yı tedirgin eden sessizlik! Uzman isim uyardı: '4...

CHP Genel Başkanı Özgür Özel Bursa'ya geliyor!

İran'dan İsrail'e 'Erbakan' mesajı: Füzelerin üzerine o...

Afrika değil Denizli! Mantar aramak için çıktığı ormand...

Özgür Özel'den Mustafa Bozbey kararı!

Yatağa bağımlı oğlu için biriktirdiği 1.8 milyon liraya...

Bursa'da doğa tutkunlarını heyecanlandıran anlar: Fotok...

Altın için beklentiler değişti: İslam Memiş'ten "Yok ar...

Milli Takım yeniden Dünya Kupası'nda! İşte fikstürümüz...

Altında beklentiler değişti! Bursalı kuyumculardan 'yok...

Bakan Uraloğlu Hürmüz Boğazı'ndaki Türk gemilerinin dur...

Milyonları ilgilendiren haber! Yeni bir resmi tatil gel...

Akaryakıta zam geliyor!

Ucuz televizyon için izdiham çıktı!

Petrol fiyatlarında Trump etkisi! Savaşın başından bu y...

Bursalılara yeni buluşma noktası! Hizmete girdi

Herkesin cebinde var! 25 kuruşlar artık altınla yarışıyor

Bursa'daki operasyonda gözaltındaki kişi hastaneye kald...

Mide bulandıran görüntüler, vatandaşa yedireceklerdi!

Sarı kategoride aranan darbeci binbaşı Ankara'da yakala...

Zayıflama iğnelerine uzman uyarısı! "Kontrol şart"

Güven, ruh, kavga! Milli Takım maça 'Cendere' ile hazır...

İmzalar atıldı: En düşük işçi maaşı 80 bin TL oldu

"Yeraltı"nda kafa karıştıran paylaşım!

Bursa'da silahla dehşet! Yaralı adam aracıyla kaçmaya ç...

U21 Milli Takımı teknik direktörü Egemen Korkmaz Hırvat...

Bursa'daki operasyonda gözaltı sayısı yükseldi!

Bursaspor'un stadyumu dünyaya açılıyor: YouTube fenomen...

Bursa yağmura dayanamadı! Metrelerce yükseklikteki duva...

Bakan Tekin: "LGS milli maçla çakışıyor, bir gün öne çe...

Trafikte yol verme tartışması çığrından çıktı! Tekme ve...

Milli yıldızımız net konuştu! "Ben hiçbir rakibi küçüms...

Ünlülere uyuşturucu soruşturması: Didem Soydan, Kerim S...

Bursa'da şaşkına çeviren olay! Otoparktaki araca kırmız...

Bursa Şehir Hastanesi'ne çok sayıda personel alınacak! ...

Araç sahipleri dikkat bunları acilen aracınıza koyun! P...

Tehlike kapıda! Şimdiden uyarı verildi...

Bursa'nın en yüksek noktası kara doydu! Yollar böyle aç...

Aleyna Kalaycıoğlu, Vahap Canbay'dan şikayetçi oldu

ABD basını yazdı: 'Trump İran harekatını sona erdirmeye...

Bursaspor'a ceza yağdı! Deplasman yasağı ve para cezala...

Bursa ve çevre illerde hissedilen deprem!

4 kişinin öldürüldüğü aile katliamının nedeni ortaya çı...

Bursa'da yola çıkacaklar dikkat! Seferler iptal edildi...

Bursa'da son gün yoğunluğu! Yenilemeyene ağır cezalar g...

Eşref Rüya'nın yıldızı Ramazan Tetik hayatını kaybetti!

Bursa'nın iki ilçesi için kritik iş birliği: Hızlı tren...

Bursa'da yağışlar dereleri coşturdu! Uzun zamandır böyl...

Bursa'da kar yağışı! Kapanan yollar için ekipler seferb...

Mustafa Bozbey'den mektupla mesaj! Sosyal medya hesabın...

Kentin göbeğinde büyük dehşet! Önüne çıkanı bıçakladı

CHP Bursa'dan akşam için çağrı! Saat 19.00'da Büyükşehi...

İran Cumhurbaşkanı Pezeşkiyan konuştu! Petrol fiyatları...

İşte Bursa Büyükşehir önünde son durum!

İran, bölgedeki ABD şirketlerini hedef alacak

Danilo Zanna'nın restoran fiyatları tartışma yarattı! M...

Yağışlar coşturdu! Bursa'da bir baraj tamamen doldu, di...

Gözaltındaki Mustafa Bozbey'in yeni görüntüsü ortaya çı...

Bodrum'da can pazarı! Kaçak göçmenleri taşıyan bot battı

Milli Takımın büyük zaferi sonrası TFF Başkanı Hacıosma...

Bursa'nın 3 ilçesinde eş zamanlı baskın! Kaçak göçmen a...

Fergani'nin 5'inci uydusu uzayda

Eğitimde ezber dönemi resmen bitti: MEB yeni sınav sist...

Gemlik'in en işlek caddesinde dehşet! kadın metrelerce ...

İran'dan çok konuşulacak hamle! Hürmüz'den geçişte artı...

İlk 3 ay Bursa'da! Uygulama yarın resmen başlıyor: Vata...

Başkan Bozbey'in gözaltına alınmasının ardından CHP teş...

Mustafa Bozbey eşi Seden Bozbey kimdir? Seden Bozbey ka...

Mutluluğun zirvesinde olan Montella, kötü haberi canlı ...

Bursa'da korkutan çöküş: Otoparktaki araçlar ezildi!

Bursa'da korkutan yangın! Bağ evi alev alev yandı...

Bursa'da sabah operasyonu tartışması! "Çağrı yapılsa gi...

Genç kadın gassallığı bıraktı: Nedeni tartışma yarataca...

Görüntüler İstanbul Havalimanı'ndan! Vurgunu yapıp bir ...

Bursa'da 3 gün aralıksız yağan yağmur sonrası ortaya çı...

Türk hava sahasına giren füze imha edildi!

Bursa Büyükşehir Belediye Başkanı Mustafa Bozbey neden ...

Şener Üşümezsoy'dan "Gemlik depremi" çıkışı: "Gemlik'in...

İki kardeş bir oldu, babalarını bıçak ve baltayla öldür...

Zincirleme kazada mucize! Şehit olduğu açıklanmıştı...

Köpeğini ağaca asıp öldürdü! Gerekçesi olaydan daha sk...

Çocukluğu Bursa'da geçmişti, dudak uçuklatan mirası ort...

81 ile birden "1 Nisan" uyarısı: Yeni dalga geliyor!

Kız yurdunda yaşanan skandalda flaş gelişme! Yurt müdür...

TEM'de zincirleme kaza: 2 kişi hayatını kaybetti

Bursa'da büyük yangın! Dumanlar şehrin birçok noktasınd...

Bursa'da satış listesinde yer alan dev araziyle ilgili ...

Bursa-Sabiha Gökçen ulaşımında yeni dönem yarın başlıyor!

Bursa'da muhtarlar tehlikenin önüne geçti!

Mbappe görmesin! Ester Exposito'dan sosyal medyayı sall...

Otel baskınından yeni detay: Valizlerindeki ayrıntı baş...

Başkan Bozbey'in avukatından gözaltı sonrası açıklama! ...

Bursa'da heyelan! Yol kapandı

Kilosu 300 liradan satılıyor! Günde 21 bin lira kazanan...

Bursa'daki dev fabrikanın ortağı yüz binlerce aracı ger...

Son dakika! Bursa Büyükşehir Belediye Başkanı Mustafa B...

Hallerde kirli oyun ifşa oldu: Bakanlık yasa dışı işlem...

Bursaspor'da kombine yenileme devam ediyor! İşte güncel...

Resmen harekete geçiliyor! Vatandaştan şikayet yağdı......

Bursa'da rüzgar ağaç devirdi! Yol kapandı...

Bursa'da tarihi eser operasyonu! Onlarca sikke ele geçi...

İnfial yaratan görüntü! İddiayı duyunca gözünün yaşına ...

Bursa'da trafik bu köprülerle rahatlayacak!

Kocaeli'de ağabeyden kardeşine ölümcül pusu!

Savaş sürerken Mardin'de dikkat çeken hareketlilik

Trump büyük saldırı için tarih verdi: Onları taş devrin...

Bursa'da kontrolden çıkan ambulans refüje çarptı!

Bursa'da sosyal medyayı sallayan düğün! Davetliler gözl...

Uludağ'da Nisan sürprizi! Manzara kendine hayran bırakt...

Ev sahipleri için geri sayım başladı: Kira beyannamesi ...

Herkesin gördüğü o ilan artık suç! Yeni dönem başladı

Altında 18 yıldır böylesi görülmedi!

Sosyeteyi sarsan yasak aşk iddiası! Günlüğü okudu, mahk...

Bursa'da kayıp alarmı sona erdi!

Bursa'da bugün hava nasıl olacak? Meteoroloji güncel ta...

Türkiye'nin hamlesi İsrail'i küplere bindirdi: "Devre d...